New Search Family, Subfamily and Tribe List

SubFamily Lepturinae

Tribe Rhagiini
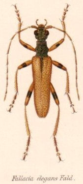
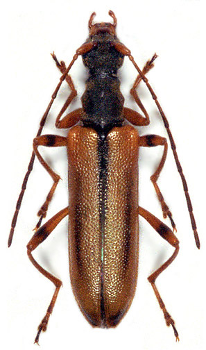
Fallacia elegans Faldermann 1837

Photographer: Michal Hoskovec
Collection Location: NE Turkey
40889


Photographer: Boppe
40890


Photographer: Denis Kasatkin
Collection Location: Georgia
40891

130425