New Search Family, Subfamily and Tribe List

SubFamily Lepturinae

Tribe Acmaeopini
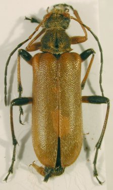
Cortodera orientalis orientalis Adlbauer 1988

Institution: LGBC Larry G. Bezark Collection, Sacramento, California, USA
Photographer: Larry G. Bezark
Collection Location: Nur Dagi, Turkey
49338

130425