New Search Family, Subfamily and Tribe List

SubFamily Cerambycinae

Tribe Hesperophanini
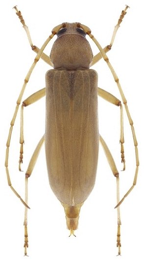
Stromatium auratum Bober 1793

Sex: m
Photographer: Denis Kasatkin
Collection Location: Krasnodar Territory, Tuapse, Lermontovskoe, Russia
47352


Photographer: Aleksandr Slutsky
Collection Location: Bar, Montenegro
75490


Photographer: Michal Hoskovec
47351


Sex: mf
Photographer: David Navratil
Collection Location: vic Imbros Village, Chania Regional Unit, Crete, Greece
62678

130425