New Search Family, Subfamily and Tribe List

SubFamily Lepturinae

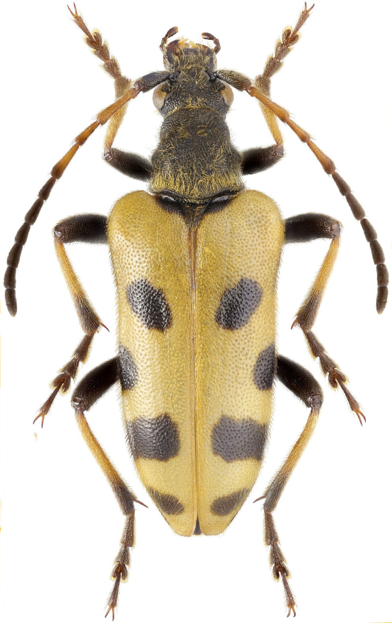
Tribe Evodinini
Brachyta sachalinensis Matsumura 1911

Photographer: Denis Kasatkin
Collection Location: Pryamoy Stlannikovyy Mountains, Sakhalin
34079


Sex: f
Photographer: Kirill V. Makarov
Collection Location: 8 km SSE Barabash, Khasansky dist, Primorsky krai, Russian Far East
78907

130425