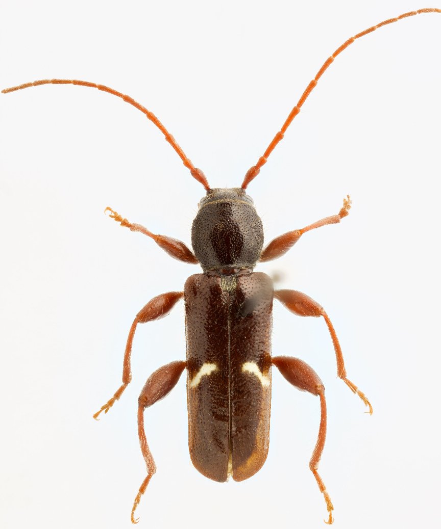
_Hardy_Preece_CNC_Sidney_BC_Can_Lap.jpg)
Phymatodes vulneratus nigrescens Hardy & Preece Specimen Type: holotype Sex: m Institution: CNC Canadian National Collection of Insects, Ottawa, Ontario, Canada Photographer: Serge Laplante, photograph and data Determiner: Copyright of
Agriculture & Agri Food Canada Collection Location: Sidney, British Columbia, Canada 63062
|
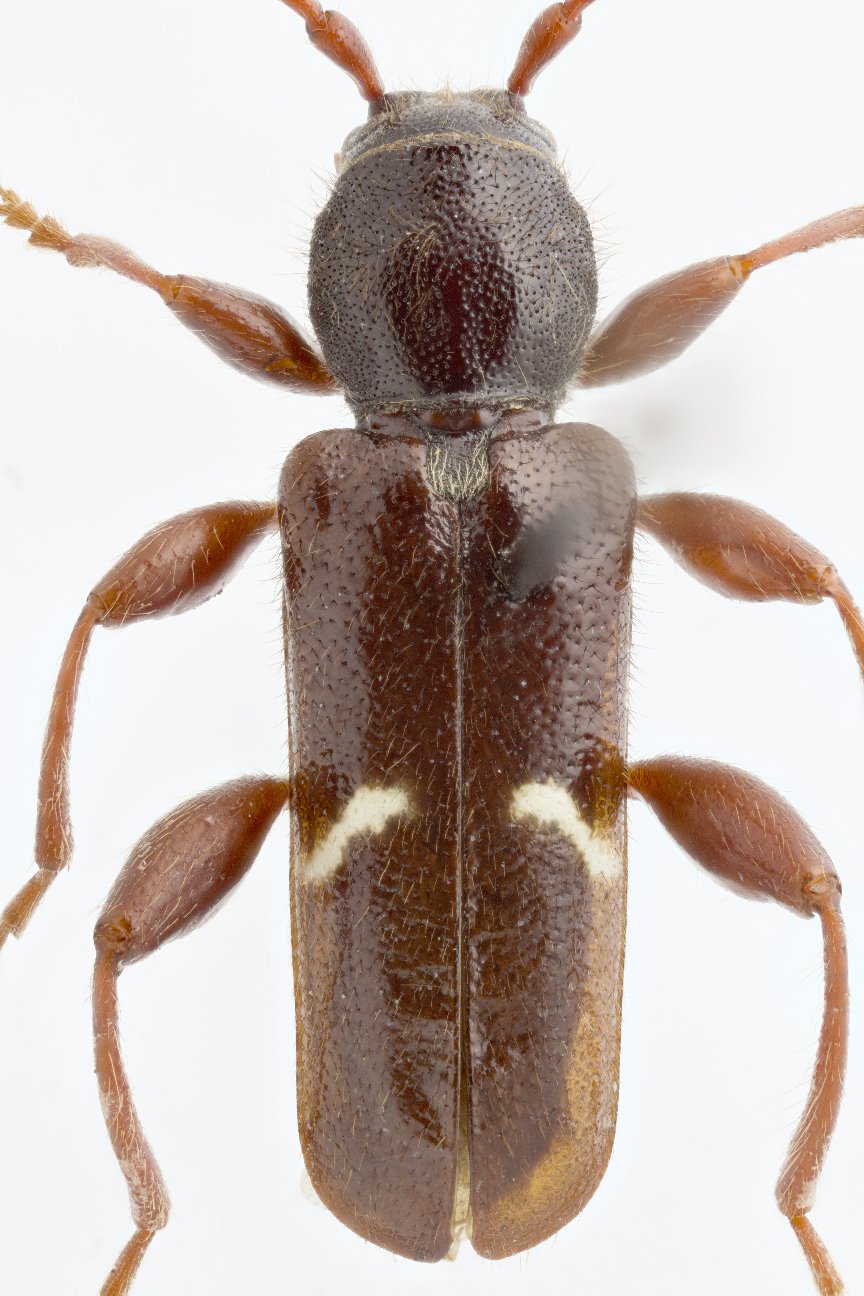
_Hardy_Preece_CNC_Sidney_BC_Can_Lap.jpg)
Phymatodes vulneratus nigrescens Hardy & Preece Specimen Type: holotype Sex: m Institution: CNC Canadian National Collection of Insects, Ottawa, Ontario, Canada Photographer: Serge Laplante, photograph and data Determiner: Copyright of
Agriculture & Agri Food Canada Collection Location: Sidney, British Columbia, Canada 63063
|
_Hardy_Preece_CNC_Sidney_BC_Can_Lap.jpg)
Phymatodes vulneratus nigrescens Hardy & Preece Specimen Type: holotype Sex: m Institution: CNC Canadian National Collection of Insects, Ottawa, Ontario, Canada Photographer: Serge Laplante, photograph and data Determiner: Copyright of
Agriculture & Agri Food Canada Collection Location: Sidney, British Columbia, Canada 63064
|
_Hardy_Preece_CNC_Sidney_BC_Can_Lap.jpg)
Phymatodes vulneratus nigrescens Hardy & Preece Specimen Type: holotype Sex: m Institution: CNC Canadian National Collection of Insects, Ottawa, Ontario, Canada Photographer: Serge Laplante, photograph and data Determiner: Copyright of
Agriculture & Agri Food Canada Collection Location: Sidney, British Columbia, Canada 63065
|
_Chemsak_CAS_7438_LGB.jpg)
Phymatodes oregonensis Chemsak Specimen Type: holotype Institution: CAS California Academy of Sciences, San Francisco, CA, USA Photographer: Larry G. Bezark 20621
|
_Chemsak_CAS.jpg)
Phymatodes oregonensis Chemsak Specimen Type: allotype Institution: CAS California Academy of Sciences, San Francisco, CA, USA Photographer: Larry G. Bezark 2460
|
_Chemsak_Wheatland_OR_UCB.jpg)
Phymatodes oregonensis Chemsak Specimen Type: paratype Institution: UCB Essig Museum of Entomology, Berkeley, California, USA Photographer: Larry G. Bezark Collection Location: Wheatland, Oregon 2461
|
|