
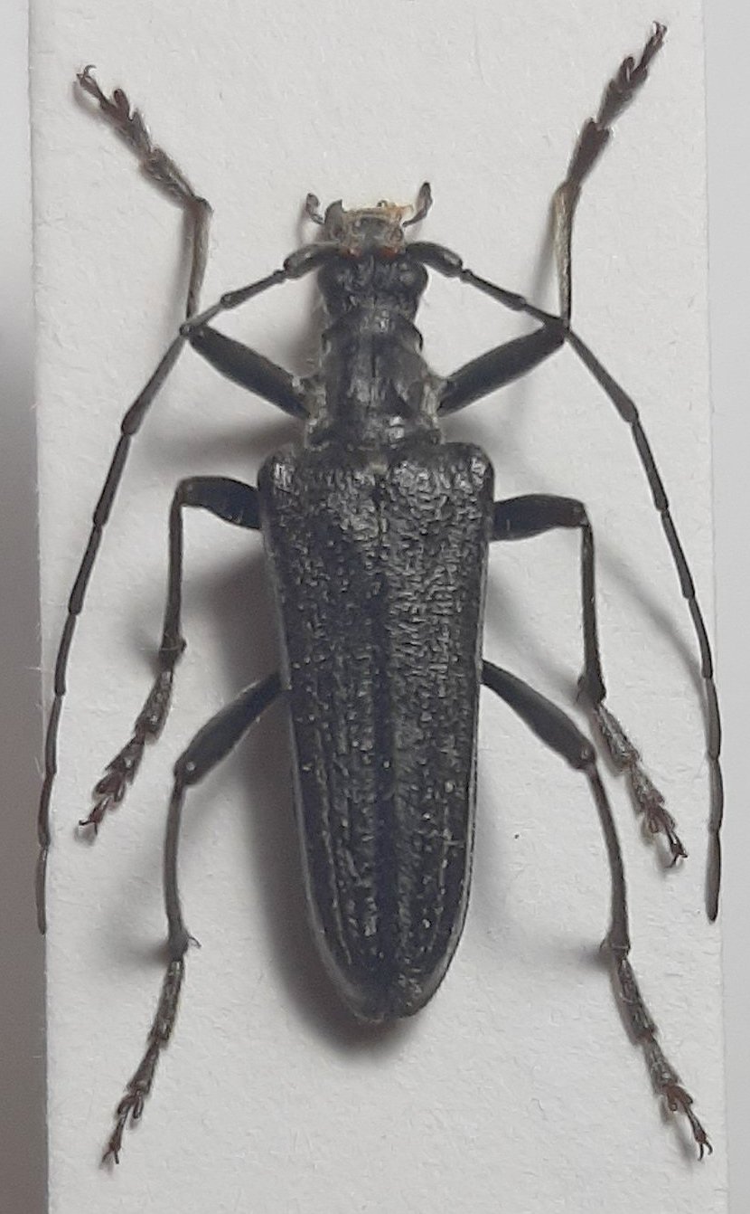
Institution: CAS California Academy of Sciences, San Francisco, CA, USA Photographer: Larry G. Bezark 65076
|
 Linn Vuznice Valley, Nizbor, Central Bohemia, Czech Republic Hoskovec.jpg)
Sex: mf Photographer: Michal Hoskovec Collection Location: Vuznice Valley, Nizbor, Central Bohemia, Czech Republic 79817
|
 (Linn) Hamre, Remetske, Mr VlhorIat, Slovakia Gabzdil.jpg)
Sex: m Photographer: Rudolph Gabzdil Collection Location: Donovaly, Nízke Tatry Mt., Slovakia 90826
|
 (Linn) Hamre, Remetske, Mr VlhorIat, Slovakia Gabzdil.jpg)
Sex: m Photographer: Rudolph Gabzdil Collection Location: Remetské Hámre, Vihorlat Mt., Slovakia 90827
|

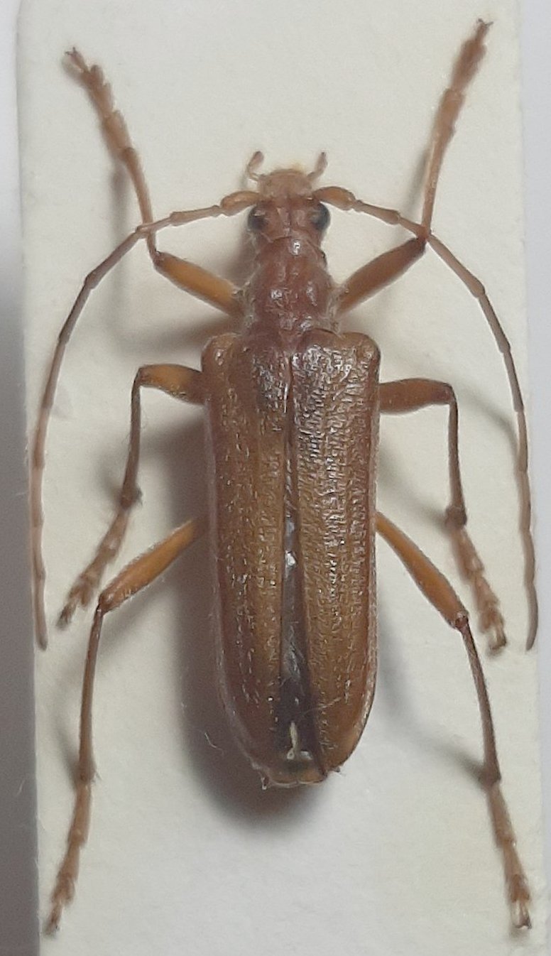
Institution: LGBC Larry G. Bezark Collection, Sacramento, California, USA Photographer: Larry G. Bezark 55275
|
_(Linn)_Poland_Bieszczady_Wetlina_Ziarko.jpg)
Sex: f Photographer: Szczepan Ziarko Collection Location: Bieszczady, Wetlina, Poland 55276
|
|