_LeConte_MCZ.jpg)
Specimen Type: holotype Institution: MCZ Museum of Comparative Zoology, Harvard University, Cambridge, MA, USA Photographer: P. Naskrecki, P. Perkins, and B. Farrell Collection Location: Isle Royale, Lake Superior, Michigan 2446
|
_LeConte_MCZ.jpg)
Specimen Type: holotype Institution: MCZ Museum of Comparative Zoology, Harvard University, Cambridge, MA, USA Photographer: P. Naskrecki, P. Perkins, and B. Farrell Collection Location: Isle Royale, Lake Superior, Michigan 2448
|
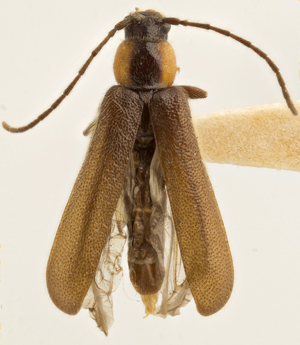
_LeConte_MCZ.jpg)
Specimen Type: holotype Institution: MCZ Museum of Comparative Zoology, Harvard University, Cambridge, MA, USA Photographer: P. Naskrecki, P. Perkins, and B. Farrell Collection Location: Isle Royale, Lake Superior, Michigan 2449
|
_LeConte_MCZ.jpg)
Specimen Type: holotype Institution: MCZ Museum of Comparative Zoology, Harvard University, Cambridge, MA, USA Photographer: P. Naskrecki, P. Perkins, and B. Farrell Collection Location: Isle Royale, Lake Superior, Michigan 2450
|
_Hopping_CNC_Stanley_BC_Canada_maculicollis_Laplante.jpg)
Phymatodes elongatus Hopping Specimen Type: holotype Sex: f Institution: CNC Canadian National Collection of Insects, Ottawa, Ontario, Canada Photographer: Serge Laplante, photograph and data Determiner: Copyright of
Agriculture & Agri Food Canada Collection Location: Stanley, British Columbia, Canada 63049
|
_Hopping_CNC_Stanley_BC_Canada_maculicollis_Laplante.jpg)
Phymatodes elongatus Hopping Specimen Type: holotype Sex: f Institution: CNC Canadian National Collection of Insects, Ottawa, Ontario, Canada Photographer: Serge Laplante, photograph and data Determiner: Copyright of
Agriculture & Agri Food Canada Collection Location: Stanley, British Columbia, Canada 63050
|
_Hopping_CNC_Stanley_BC_Canada_maculicollis_Laplante.jpg)
Phymatodes elongatus Hopping Specimen Type: holotype Sex: f Institution: CNC Canadian National Collection of Insects, Ottawa, Ontario, Canada Photographer: Serge Laplante, photograph and data Determiner: Copyright of
Agriculture & Agri Food Canada Collection Location: Stanley, British Columbia, Canada 63051
|
_Hopping_CNC_Stanley_BC_Canada_maculicollis_Laplante.jpg)
Phymatodes elongatus Hopping Specimen Type: holotype Sex: f Institution: CNC Canadian National Collection of Insects, Ottawa, Ontario, Canada Photographer: Serge Laplante, photograph and data Determiner: Copyright of
Agriculture & Agri Food Canada Collection Location: Stanley, British Columbia, Canada 63052
|

Photographer: Larry G. Bezark 2447
|
|