
Institution: UCB Essig Museum of Entomology, Berkeley, California, USA Photographer: Larry G. Bezark Determiner: Shimomura Collection Location: Kitamoshiri, Hokkaido, Japan 62652
|
 Tretyakovo vill, Kurils Nat Res, Yozhno-Kurilsky dist, Sakhalin Region, Russia Makarov.jpg)
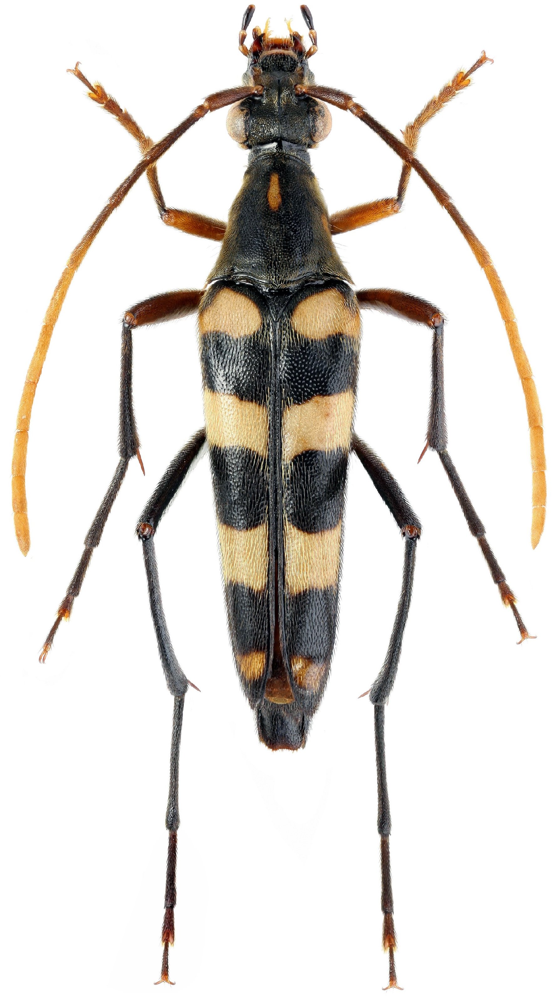
Sex: f Photographer: Kirill V. Makarov Collection Location: Kurils Nat Res, Yozhno-Kurilsky dist, Sakhalin Region, Russia 59365
|