_Semyonovka_Dergachevsky_district_Kharkov_region_NE_Ukraine_Slutsky.jpg)
Photographer: Aleksandr Slutsky Collection Location: Semyonovka Dergachevsky district, Kharkov region, NE Ukraine 75489
|

Photographer: Udo Schmidt Collection Location: Germany 62615
|

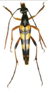
Photographer: Vaclav Hanzlik 43085
|

Institution: LGBC Larry G. Bezark Collection, Sacramento, California, USA Photographer: Larry G. Bezark 62613
|

Photographer: Wolfgang Heinkel 62614
|
|