New Search Family, Subfamily and Tribe List

SubFamily Lepturinae

Tribe Lepturini
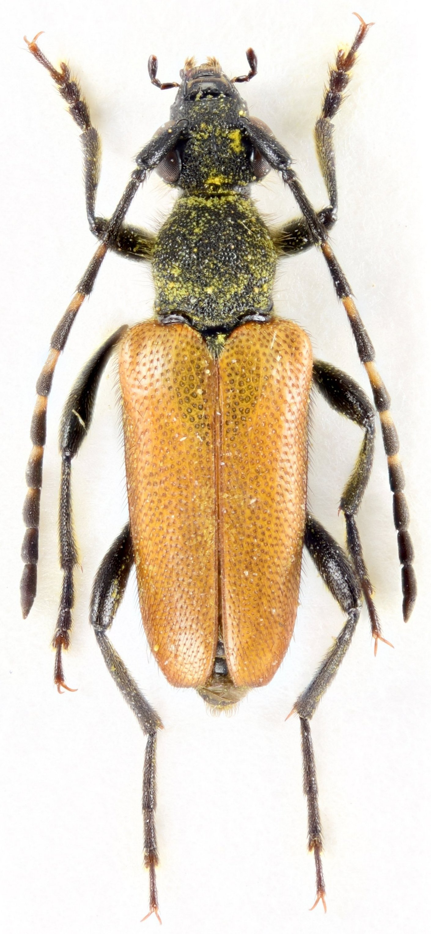
Stictoleptura ondreji (Slama, 1993)

Institution: Marcin Szewczyk Collection
Photographer: Marcin Szewczyk
Collection Location: vic Neraida, Pindos Mounatins, Greece
78654

130425