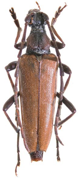
 Demelt MZLU Las Mercedes, Tenerife, Canary Islands now Sticto.jpg)
Leptura palmi Demelt Specimen Type: holotype Institution: MZLU Biological Museum Lund University, Lund, Sweden Collection Location: Las Mercedes, Tenerife, Canary Islands 96744
|
 Demelt MZLU Las Mercedes, Tenerife, Canary Islands now Sticto.jpg)
Leptura palmi Demelt Specimen Type: holotype Institution: MZLU Biological Museum Lund University, Lund, Sweden Collection Location: Las Mercedes, Tenerife, Canary Islands 96745
|
 Demelt MZLU Las Mercedes, Tenerife, Canary Islands now Sticto.jpg)
Leptura palmi Demelt Specimen Type: holotype Institution: MZLU Biological Museum Lund University, Lund, Sweden Collection Location: Las Mercedes, Tenerife, Canary Islands 96746
|
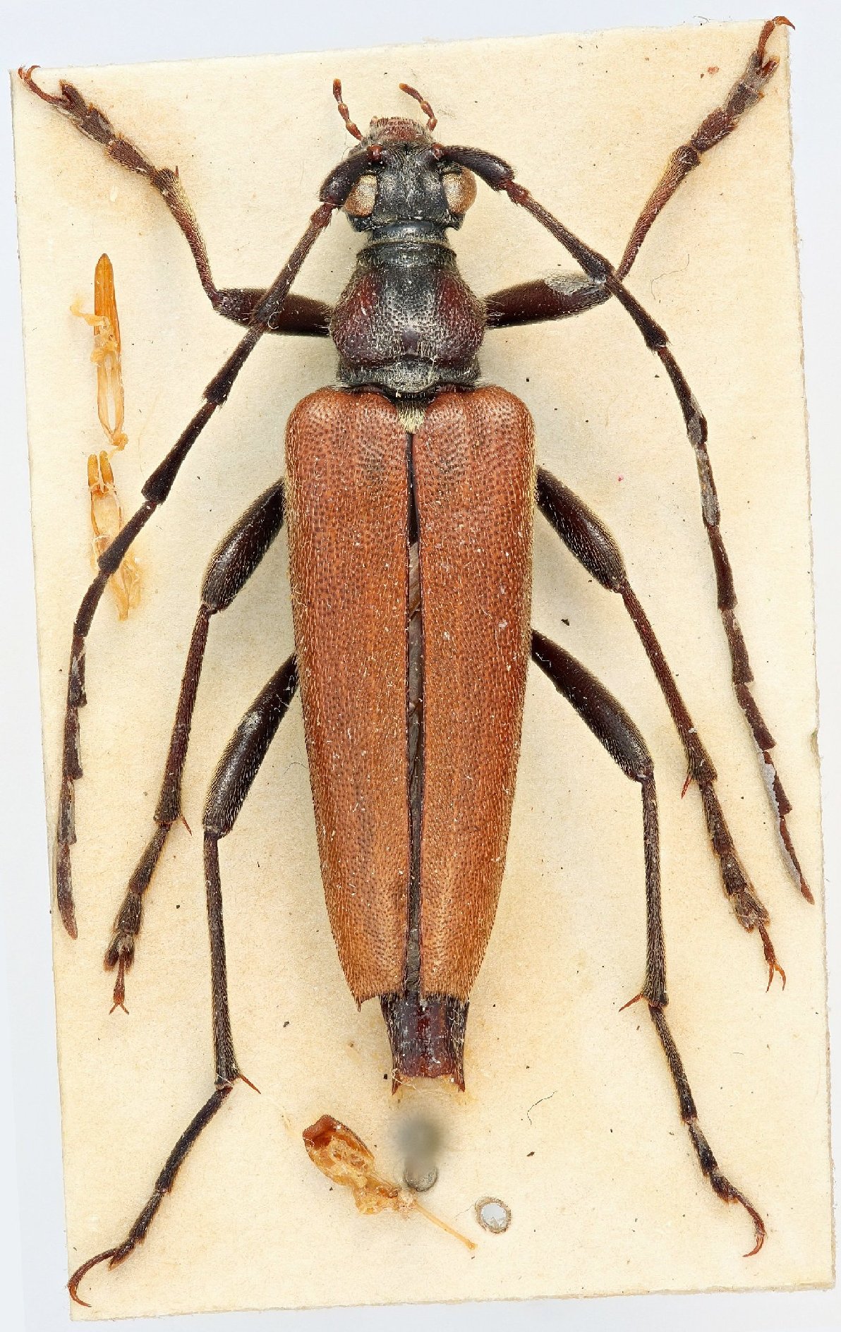
_(Demelt)_Canary_Islands_Vives_pic.jpg)
Sex: m Photographer: Eduard Vives Collection Location: Canary Islands 75267
|
_(Demelt)_Canary_Islands_Vives_pic.jpg)
Sex: f Photographer: Eduard Vives Collection Location: Canary Islands 75268
|
 (Demelt) Canary Islands Vives pic.jpg)
Sex: m Photographer: Eduard Vives Collection Location: Canary Islands 77652
|
 Demelt vic Santiago del Teide, W Tenerife, Canary Isl, Spain Navratil Hosko.jpg)
Sex: mf Photographer: Navratil & Hoskovec Collection Location: vic Santiago del Teide, W Tenerife, Canary Isl, Spain 62587
|
|