New Search Family, Subfamily and Tribe List

SubFamily Lepturinae

Tribe Lepturini
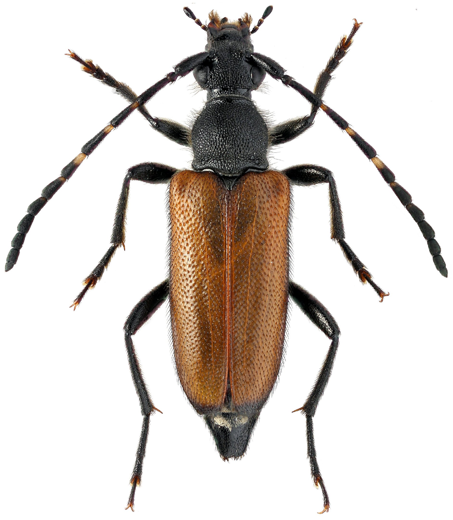
Stictoleptura maculicornis (DeGeer, 1775)

Institution: LGBC Larry G. Bezark Collection, Sacramento, California, USA
Photographer: Larry G. Bezark
36096


Sex: f
Photographer: Kirill V. Makarov
Collection Location: Pavlovskaya Sloboda village, Istrinsky district, Moscow Region, Russia
36097


36098

130425