New Search Family, Subfamily and Tribe List

SubFamily Lepturinae

Tribe Lepturini
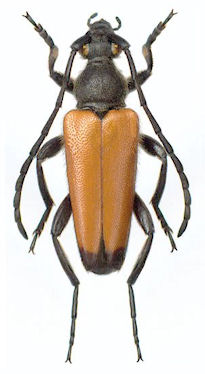
Stictoleptura fulva (DeGeer, 1775)

Institution: LGBC Larry G. Bezark Collection, Sacramento, California, USA
Photographer: Larry G. Bezark
36092


Photographer: Wolfgang Heinkel
36093


Photographer: Szczepan Ziarko
Collection Location: Sozopol, Bulgaria
55464

130425