New Search Family, Subfamily and Tribe List

SubFamily Lepturinae

Tribe Lepturini
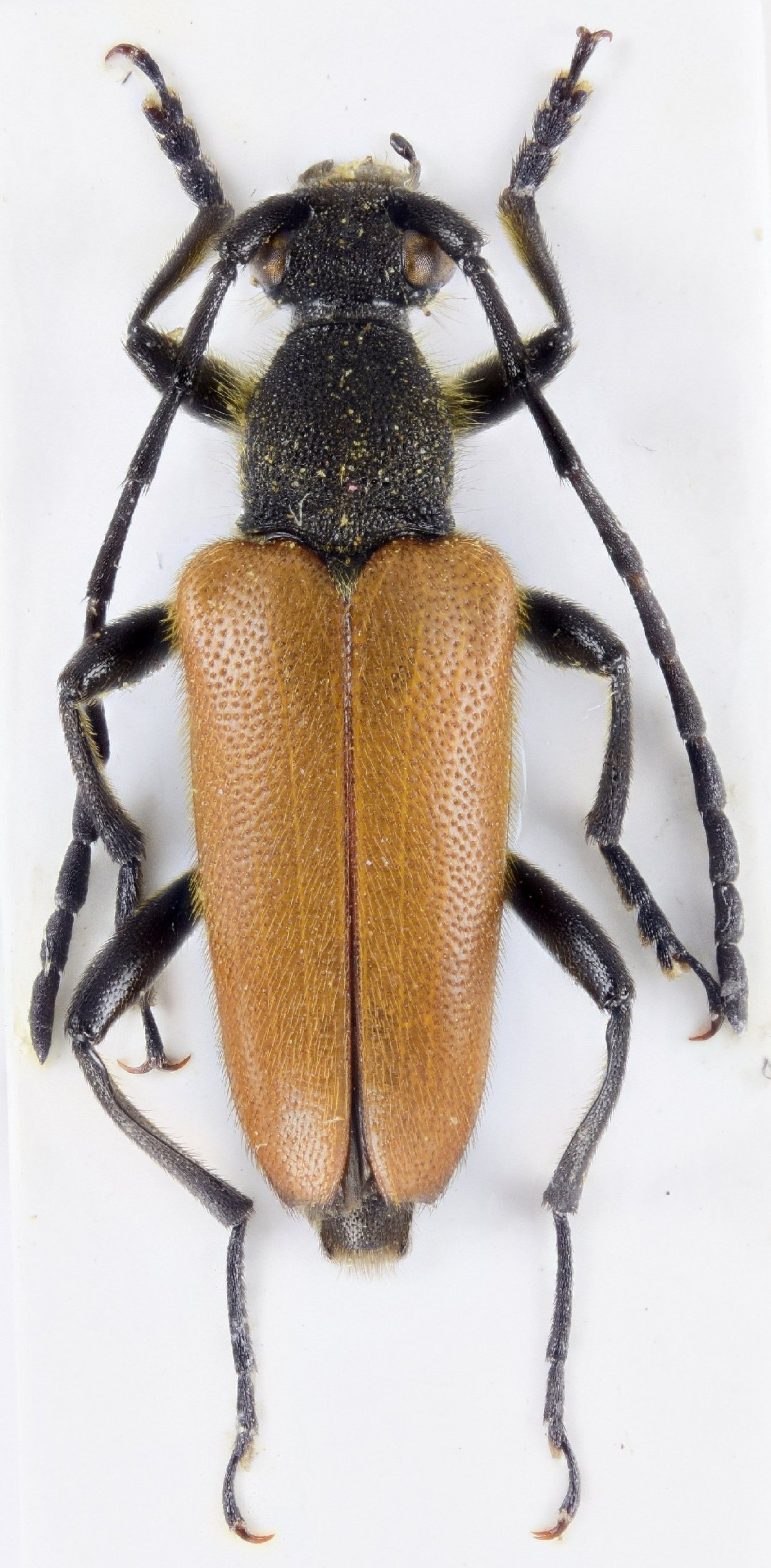
Stictoleptura benjamini benjamini Sama 1993

Institution: Marcin Szewczyk Collection
Photographer: Marcin Szewczyk
Collection Location: Mont Meron, Israel
78656


Sex: mf
Photographer: David Navratil
Collection Location: Mount Meron, N District, Israel
80147

130425