New Search Family, Subfamily and Tribe List

SubFamily Vesperinae

Tribe Vesperini
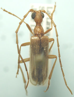
Vesperus conicicollis conicicollis Fairmaire 1866

Institution: LGBC Larry G. Bezark Collection, Sacramento, California, USA
Photographer: Larry G. Bezark
66557


Institution: Trocoli Collection
Photographer: Sergei Troccoli
Collection Location: Tangiers, Morocco
75175

130425