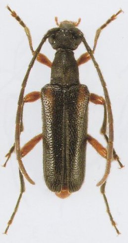
_Holzschuh_Qinling_Mtns_China.jpg)
Specimen Type: holotype Sex: m Institution: Holzschuh Collection Photographer: Lubo Dembický Collection Location: Qinling Shan Mountains, Shaanxi Province, China 73422
|
_Holzschuh_China_Shaanxi_Qing_Ling_Shan_mts.jpg)
Specimen Type: holotype Sex: m Institution: Holzschuh Collection Determiner: Schrift. Forstlichen Bundesversuchsanstalt Collection Location: Qinling Shan Mountains, Shaanxi Province, China 58026
|