_Holzschuh_Qinling_Mtns_China.jpg)
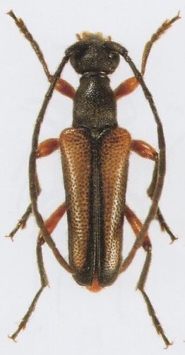
Specimen Type: holotype Sex: m Institution: Holzschuh Collection Photographer: Lubo Dembický Collection Location: Qinling Shan, 6 km E Xunyangba, Shaanxi Province, China 73421
|
_Holzschuh_China_Shaanxi_Qinling_Shan_6km_E_Xunyangba.jpg)
Specimen Type: holotype Sex: m Institution: Holzschuh Collection Determiner: Entomologica Basiliensa Collection Location: Qinling Shan, 6 km E Xunyangba, Shaanxi Province, China 58021
|