New Search Family, Subfamily and Tribe List

SubFamily Cerambycinae

Tribe Rhopalophorini
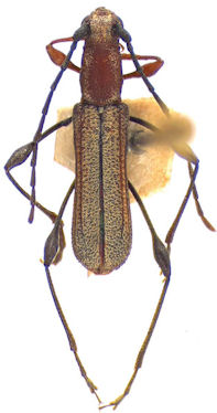
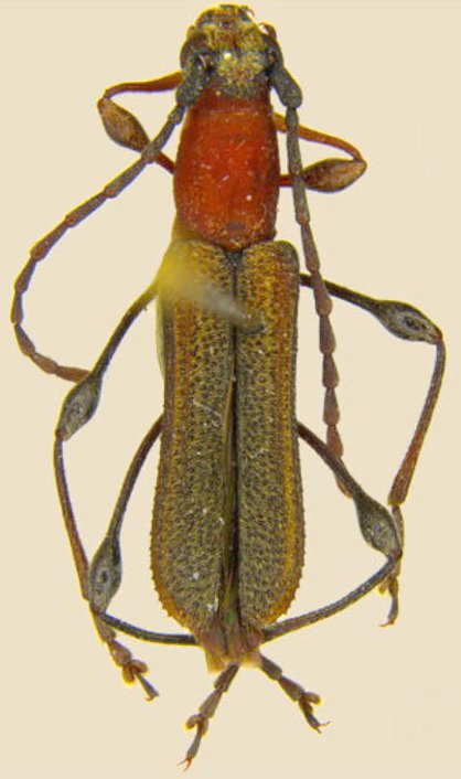
Dihammaphora brasileira Napp & Mermudes 2010

Specimen Type: paratype
Sex: m
Collection Location: Brazil
30018


Institution: MCNZ Museu de Ciencas Naturais, Fundacao Zoobotanica do Rio Grande do Sul, Brazil
Photographer: Gabriel Ferreira
Collection Location: Capiata, Central, Paraguay
90582

130425