_Chen_Chiang_SAUC_Guan_Xian_Sichuan_China_Li_Chen_poc.jpg)
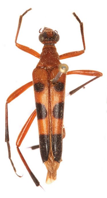
Specimen Type: holotype Sex: f Institution: SAUC Insect Collection of the Southwest Agricultural University, Chongqing, China Photographer: Li Chen Collection Location: Guan Xian, Sichuan Province, China 70717
|
_Chen_Chiang_SAUC_Guan_Xian_Sichuan_China_Li_Chen_poc.jpg)
Specimen Type: holotype Sex: f Institution: SAUC Insect Collection of the Southwest Agricultural University, Chongqing, China Photographer: Li Chen Collection Location: Guan Xian, Sichuan Province, China 70718
|