New Search Family, Subfamily and Tribe List

SubFamily Lepturinae

Tribe Lepturini
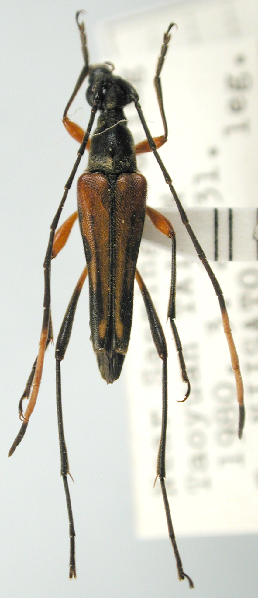
Parastrangalis subapicalis (Gressitt, 1935)

Institution: JCPC Jim Cope Collection, San Jose, California, USA now at CSCA, Sacramento
Photographer: Larry G. Bezark
Determiner: Tatsuya Niisato
Collection Location: vic Sanming, Fusing, Taoyuan, Taiwan
99381

130425