_Holzschuh_FBVA_107.jpg)
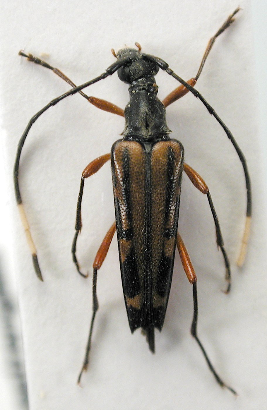
Specimen Type: holotype Sex: m Institution: Holzschuh Collection Determiner: Schrift. Forstlichen Bundesversuchsanstalt Collection Location: Dashenonngjia massif, W Hubei Province, China 56067
|

Institution: JCPC Jim Cope Collection, San Jose, California, USA now at CSCA, Sacramento Photographer: Larry G. Bezark Determiner: Tomas Tichy Collection Location: Muyu, Shennongjia, Hubei, China 99375
|