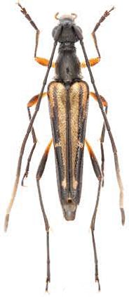
 Tamanuki MNHAH vic Mount Ari, Taiwan now Parastrangalis Wen Chou Pic.jpg)
Strangalomorpha denticulata Tamanuki Specimen Type: allotype Sex: m Institution: MNHA Museum of Nature and Human Activities, Hyogo, Japan Photographer: Wen Chou Collection Location: vic Mount Ari, Taiwan 89655
|
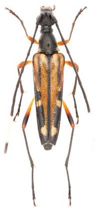
 Tamanuki MNHAH vic Mount Ari, Taiwan now Parastrangalis Wen Chou Pic.jpg)
Strangalomorpha denticulata Tamanuki Specimen Type: allotype Sex: m Institution: MNHA Museum of Nature and Human Activities, Hyogo, Japan Photographer: Wen Chou Collection Location: vic Mount Ari, Taiwan 89656
|
 Tamanuki MNHAH vic Mount Ari, Taiwan now Parastrangalis Wen Chou Pic.jpg)
Strangalomorpha denticulata Tamanuki Specimen Type: allotype Sex: m Institution: MNHA Museum of Nature and Human Activities, Hyogo, Japan Photographer: Wen Chou Collection Location: vic Mount Ari, Taiwan 89657
|
 Taiwan Wen Chou pic.jpg)
Sex: m Photographer: Wen Chou Collection Location: Taiwan 89643
|
 Taiwan Wen Chou pic.jpg)
Sex: m Photographer: Wen Chou Collection Location: Taiwan 89644
|
 Taiwan Wen Chou pic.jpg)
Sex: f Photographer: Wen Chou Collection Location: Taiwan 89645
|
 Taiwan Wen Chou pic.jpg)
Sex: f Photographer: Wen Chou Collection Location: Taiwan 89646
|