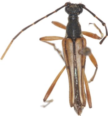
_Gressitt_IZAS_now_Parastrangalis.jpg)
Strangalia crebrepunctata Gressitt Specimen Type: holotype Sex: m Institution: IZAS Zoological Institute, Chinese Academy of Sciences, Beijing, China Photographer: Meiying Lin Collection Location: T'ien-mu Shan, Zhejiang, China 43089
|
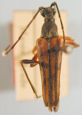
_CAS.jpg)
Strangalia crebreunctata Gressitt Specimen Type: allotype Sex: f Institution: CAS California Academy of Sciences, San Francisco, CA, USA Photographer: Larry G. Bezark Collection Location: T'ien-mu Shan, Zhejiang, China 62629
|
_Gressitt_IZAS_now_Parastrangalis.jpg)
Specimen Type: paratype Institution: IZAS Zoological Institute, Chinese Academy of Sciences, Beijing, China Photographer: Meiying Lin Collection Location: T'ien-mu Shan, Zhejiang, China 43090
|
_Tianmushan_Zhegiang_China_det_Tichy_LGB.jpg)
Institution: LGBC Larry G. Bezark Collection, Sacramento, California, USA Photographer: Larry G. Bezark Collection Location: T'ien-mu Shan, Zhejiang Province, China 49483
|
|