New Search Family, Subfamily and Tribe List

SubFamily Lepturinae

Tribe Lepturini
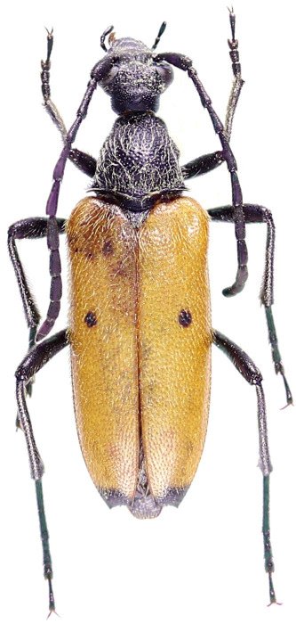
Nustera lindbergi (Villiers, 1943)

Institution: Trocoli Collection
Photographer: Sergei Troccoli
Collection Location: Morocco
75139


Determiner: Coléoptères Cérambycides de l'Afrique du Nord
Collection Location: Djebel, Amsitter, Morocco
62638

130425