
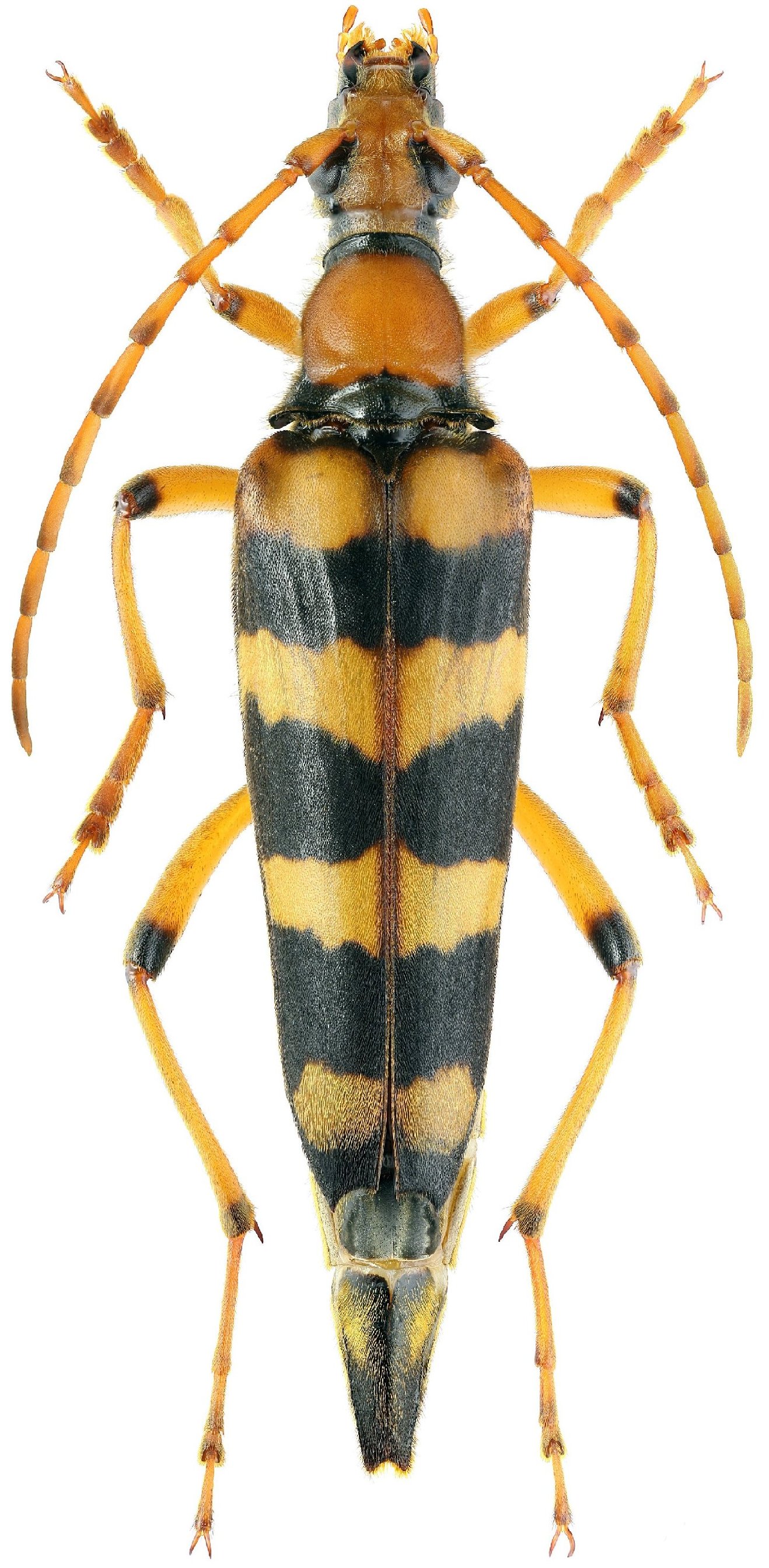
Sex: m Institution: CAS California Academy of Sciences, San Francisco, CA, USA Photographer: Larry G. Bezark 51967
|

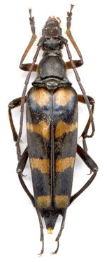
Sex: f Institution: CAS California Academy of Sciences, San Francisco, CA, USA Photographer: Larry G. Bezark 51968
|
 Bates Tretyakovo, Kunashir Island, Yuzhno-Kurilsky dist, Sakhalin region, Russia Kirill V. Makarov.jpg)
Sex: f Photographer: Kirill V. Makarov Collection Location: Tretyakovo, Kunashir Island, Sakhalin region, Russia 79703
|
_regalis_(m)_Bates_Sekinomiya_Hyogo_Pref_Japan_Ziarko.jpg)
Sex: m Photographer: Ziarko Collection Location: Sekinomiya, Hyogo Prefecture, Japan 51733
|
_regalis_(f)_Bates_Japan_Kasatkin.jpg)
Sex: f Photographer: Denis Kasatkin Collection Location: Japan 51734
|
_(Bates)_Japan.jpg)
Sex: f Collection Location: Japan 51795
|
|