New Search Family, Subfamily and Tribe List

SubFamily Lepturinae

Tribe Lepturini
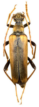
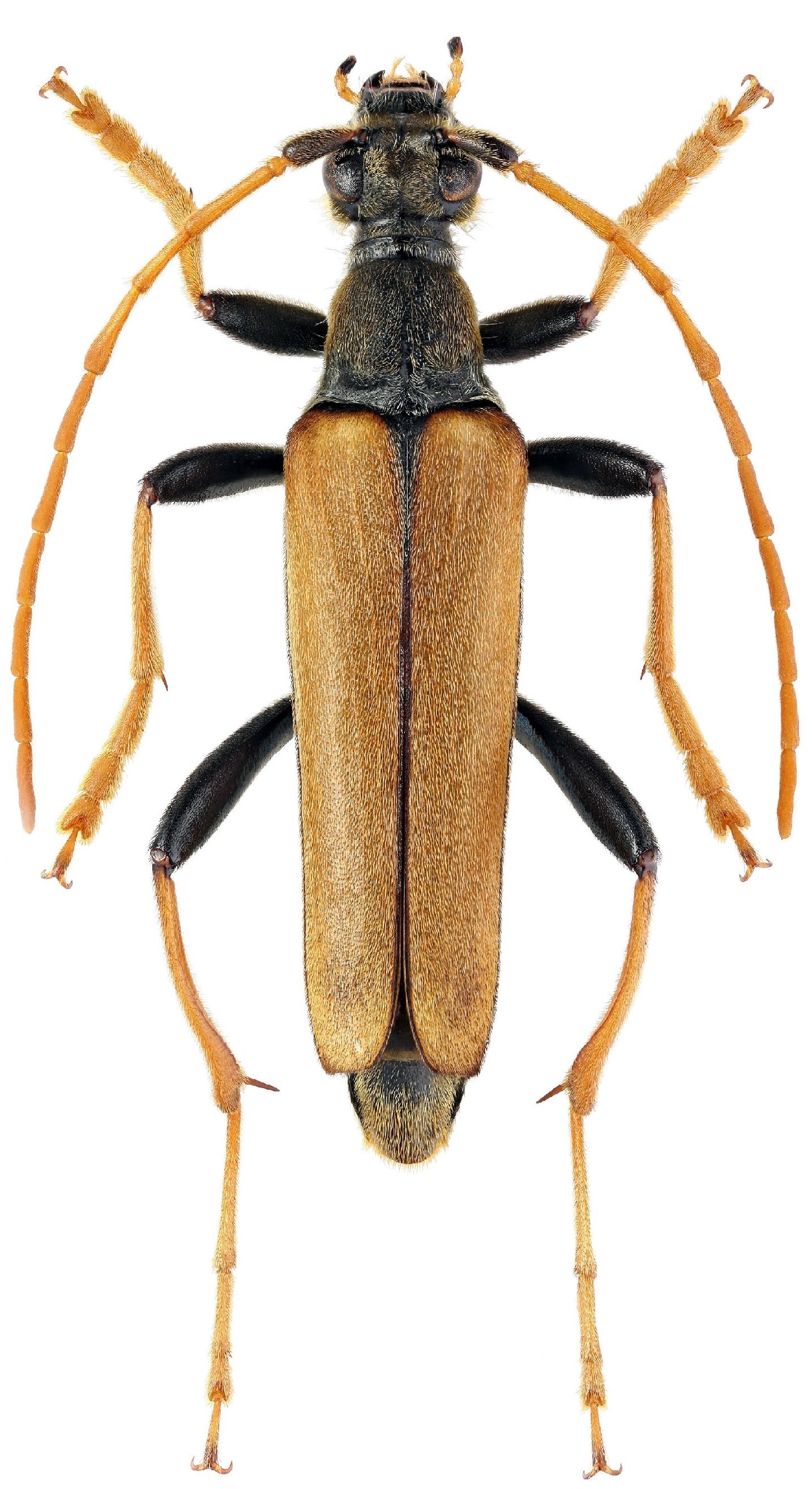
Leptura latipennis (Matsushita, 1933)

Sex: m
Photographer: Kirill V. Makarov
Collection Location: Alokhin Cape, Kurils nat Res, Yozhno-Kurilsky district, Russia
79702


Institution: LGBC Larry G. Bezark Collection, Sacramento, California, USA
Photographer: Larry G. Bezark
51784


Photographer: Wolfgang Heinkel
51785


Photographer: Denis Kasatkin
Collection Location: Japan
51729

130425