New Search Family, Subfamily and Tribe List

SubFamily Cerambycinae

Tribe Callidiini
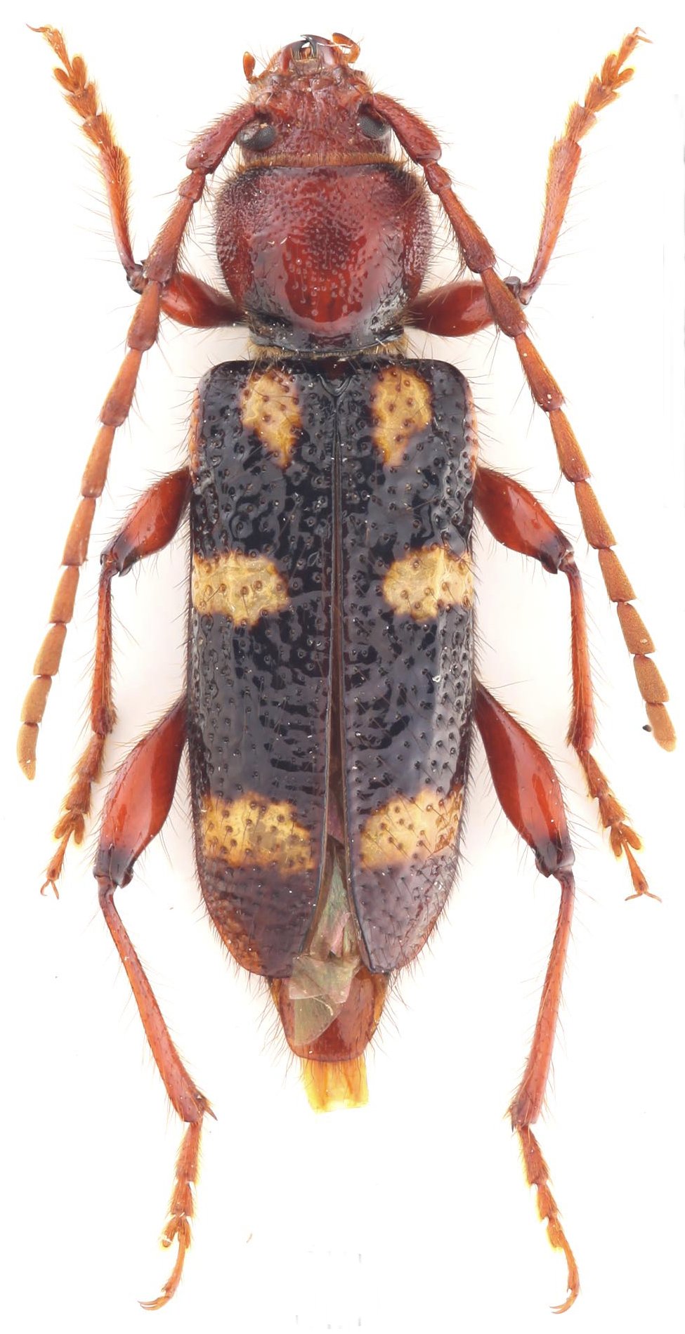
Callidium flavosignatum Pu 1991

Institution: YZU Insect Collection, College of Agriculture, Yangtze University, Jingzhou, China
Photographer: Nai-yu Pan
Collection Location: Munigou, Songpan, Sichuan, China
577

130425