_Gressitt_Szechuan_China_USNM.jpg)
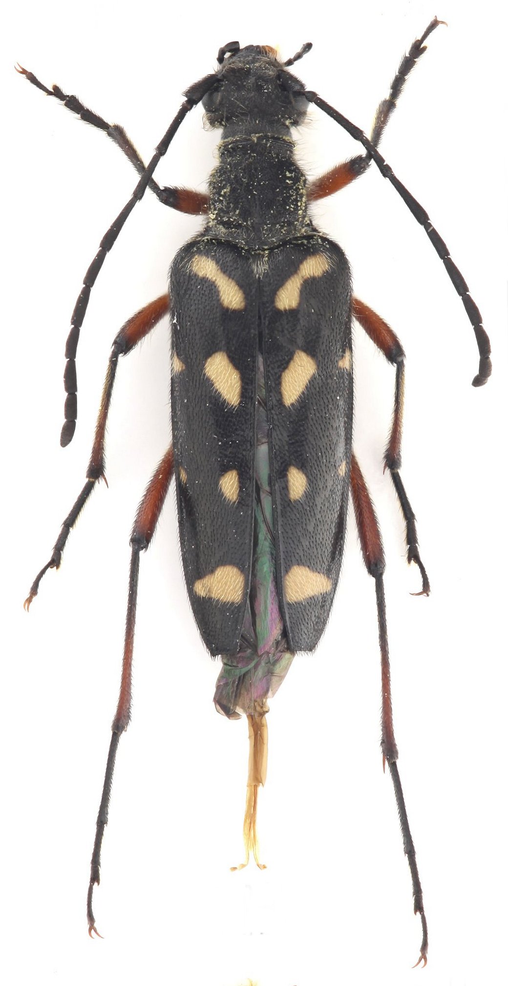
Leptura fisheriana Gressitt Specimen Type: holotype Sex: f Institution: NMNH United States National Museum, Washington, DC, USA Photographer: Steve Lingafelter Collection Location: Tatsienlu, Kanding County, Sichuan, China 51771
|
_CAS.jpg)
Leptura fisheriana Gressitt Specimen Type: paratype Institution: CAS California Academy of Sciences, San Francisco, CA, USA Photographer: Larry G. Bezark Collection Location: Tatsienlu, Kanding County, Sichuan, China 51772
|
 Pic YZU Munigou, Songpan, Sichuan, China Nai_yu Pan pic.jpg)
Sex: f Institution: YZU Insect Collection, College of Agriculture, Yangtze University, Jingzhou, China Photographer: Nai-yu Pan Collection Location: Munigou, Songpan, Sichuan, China 101504
|

Institution: LGBC Larry G. Bezark Collection, Sacramento, California, USA Photographer: Larry G. Bezark Collection Location: Kangding, Mugecuo Lake, Sichuan Province, China 49414
|
|