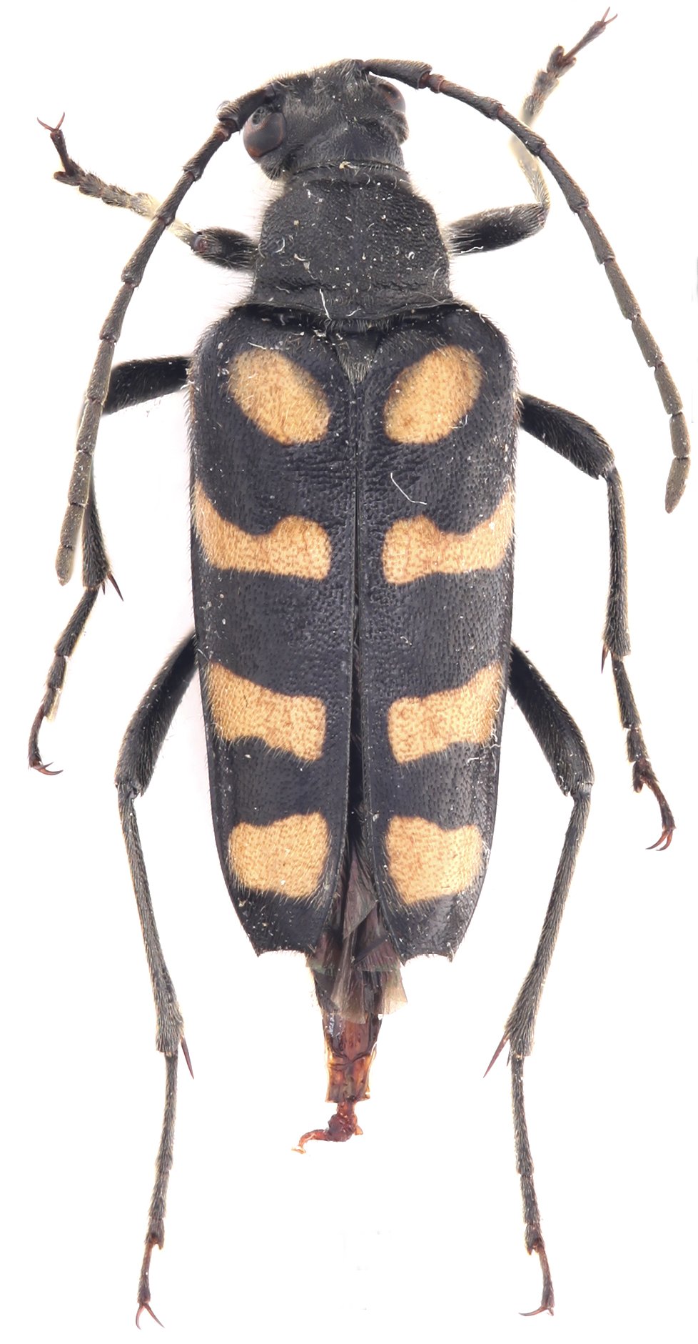
 Holzschuh Coll vicinity of Barkam, Aba County, N Sichuan, China LD.jpg)
Specimen Type: holotype Sex: m Institution: Holzschuh Collection Photographer: Lubo Dembický Collection Location: vicinity of Barkam, Aba County, N Sichuan, China 76566
|
_Holzschuh_FBVA_107.jpg)
Specimen Type: holotype Sex: m Institution: Holzschuh Collection Determiner: Schrift. Forstlichen Bundesversuchsanstalt Collection Location: vicinity of Barkam, Aba County, N Sichuan, China 51762
|
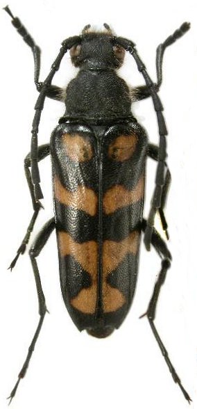
 Holzschuh YZU Munigou, Songpan, Sichuan, China Nai_yu Pan pic.jpg)
Sex: f Institution: YZU Insect Collection, College of Agriculture, Yangtze University, Jingzhou, China Photographer: Nai-yu Pan Collection Location: Munigou, Songpan, Sichuan, China 101503
|
|