_Matsushita_Meiying.jpg)
Strangalia auratopilosa Matsushita Specimen Type: holotype Sex: f Institution: EMHU Entomological Museum, Hokkaido University, Sapporo, Japan Photographer: Meiying Lin Collection Location: Taiban, Daren Township, Taiwan 43086
|
_Tamanuki_Meiying.jpg)
Strangalia auratopilosa segregata Tamanuki Specimen Type: holotype Sex: f Institution: Museum of Nature & Human Activities, Hyogo Photographer: Meiying Lin Collection Location: Arisan, Chiayi County, Taiwan 43087
|
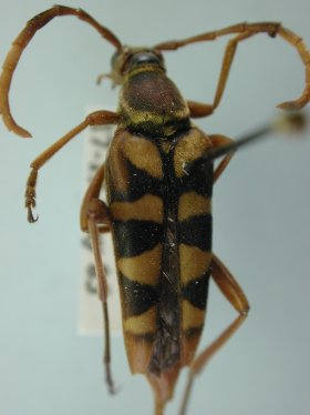
_Kano_Meiying.jpg)
Strangalia tattakana piyanan Kano Specimen Type: holotype Sex: f Institution: NMST National Science Museum (Nat. Hist.), Tokyo, Japan Photographer: Meiying Lin Collection Location: Totsuryo (Datong Township), Taiwan 43095
|
_Tamanuki_Meiying.jpg)
Strangalia quadranglithoracica Tamanuki Specimen Type: holotype Sex: m Institution: Museum of Nature & Human Activities, Hyogo Photographer: Meiying Lin Collection Location: Mt Ari, Alishan Township, Taiwan 43388
|
_Taipei_Taiwan_LGB.jpg)
Sex: f Institution: LGBC Larry G. Bezark Collection, Sacramento, California, USA Photographer: Larry G. Bezark Collection Location: Taipei, Taiwan 50332
|
_Taipei_Taiwan_LGB.jpg)
Sex: m Institution: LGBC Larry G. Bezark Collection, Sacramento, California, USA Photographer: Larry G. Bezark Collection Location: Taipei, Taiwan 50333
|
_Taipei_Taiwan_LGB.jpg)
Sex: m Institution: LGBC Larry G. Bezark Collection, Sacramento, California, USA Photographer: Larry G. Bezark Collection Location: Taipei, Taiwan 50334
|
_(Matsushita)_Meiying.jpg)
Sex: mf Photographer: Meiying Lin 42869
|

Institution: CAS California Academy of Sciences, San Francisco, CA, USA Photographer: Larry G. Bezark 51754
|
|