 Mt Daibosatsu, Yanamshi Prefecture, Japan JCPC LGB.jpg)
Sex: m Institution: JCPC Jim Cope Collection, San Jose, California, USA now at CSCA, Sacramento Photographer: Larry G. Bezark Determiner: Jim Cope Collection Location: Mt Daibosatsu, Yanamshi Prefecture, Japan 98204
|
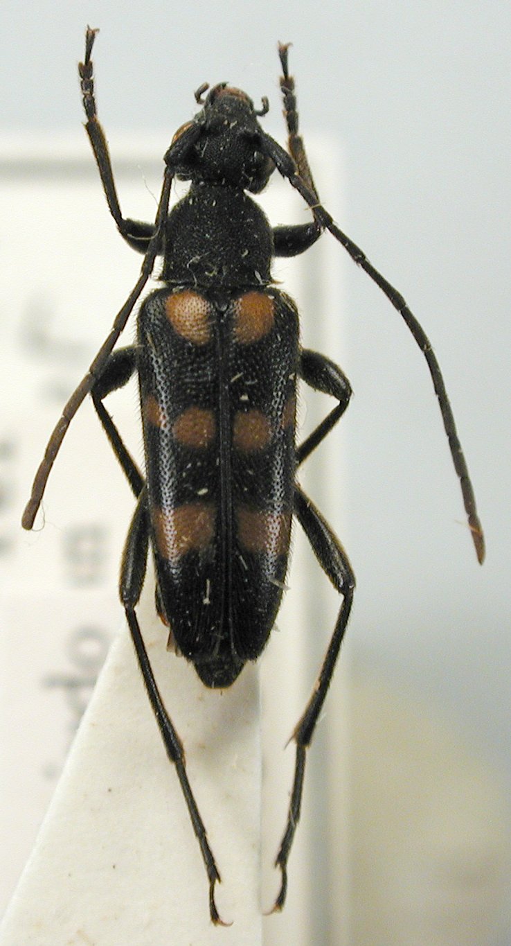
 Mt Daibosatsu, Yanamshi Prefecture, Japan JCPC LGB.jpg)
Sex: f Institution: JCPC Jim Cope Collection, San Jose, California, USA now at CSCA, Sacramento Photographer: Larry G. Bezark Determiner: Jim Cope Collection Location: Mt Daibosatsu, Yanamshi Prefecture, Japan 98205
|