New Search Family, Subfamily and Tribe List

SubFamily Lepturinae

Tribe Lepturini
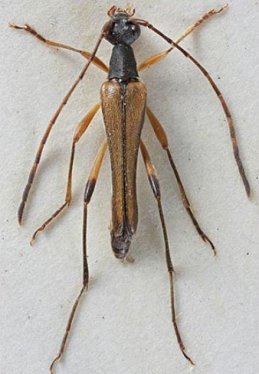
Idiostrangalia contracta (Bates, 1884)

Sex: m
Institution: LGBC Larry G. Bezark Collection, Sacramento, California, USA
Photographer: Larry G. Bezark
62626


Sex: f
Institution: CAS California Academy of Sciences, San Francisco, CA, USA
Photographer: Larry G. Bezark
62627


Photographer: Nathan P. Lord
51210

130425