New Search Family, Subfamily and Tribe List

SubFamily Lepturinae

Tribe Lepturini
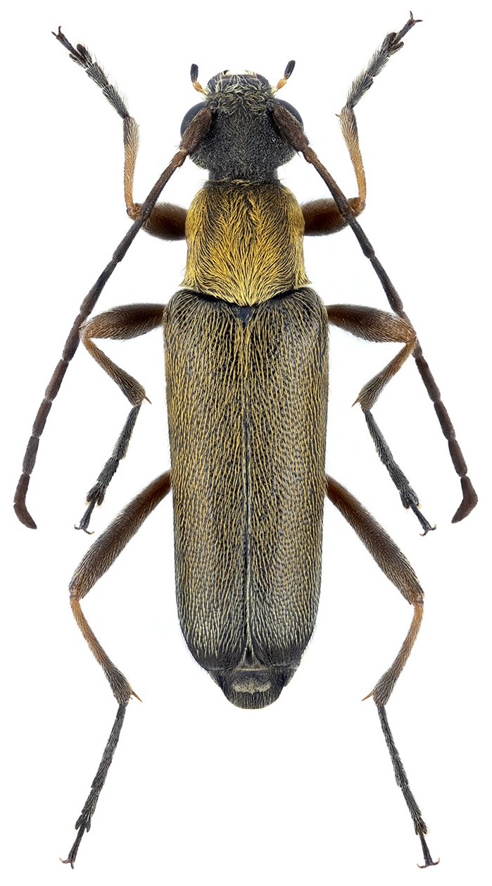
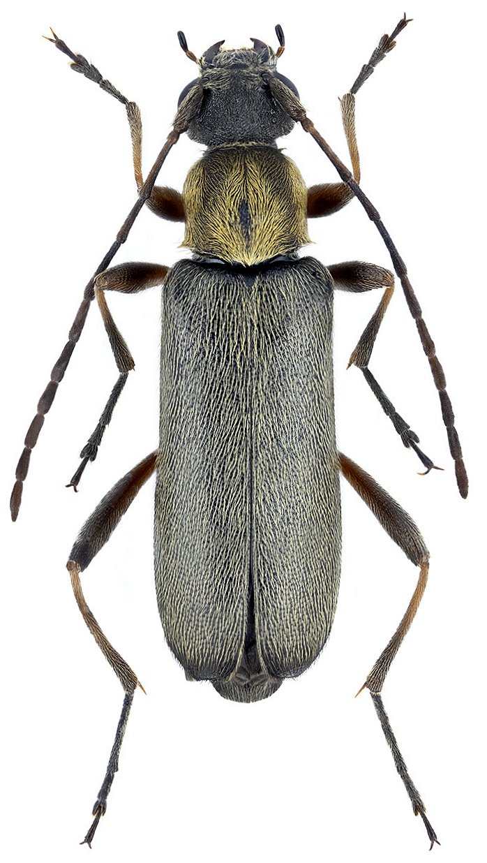
Grammoptera geniculata Kraatz 1886

Sex: m
Photographer: Lukáš Skorepa
Collection Location: 5 km W Los Barrios, Cadiz, Andalusia, Spain
96320


Sex: f
Photographer: Lukáš Skorepa
Collection Location: 5 km W Los Barrios, Cadiz, Andalusia, Spain
96321

130425