New Search Family, Subfamily and Tribe List

SubFamily Lepturinae

Tribe Lepturini
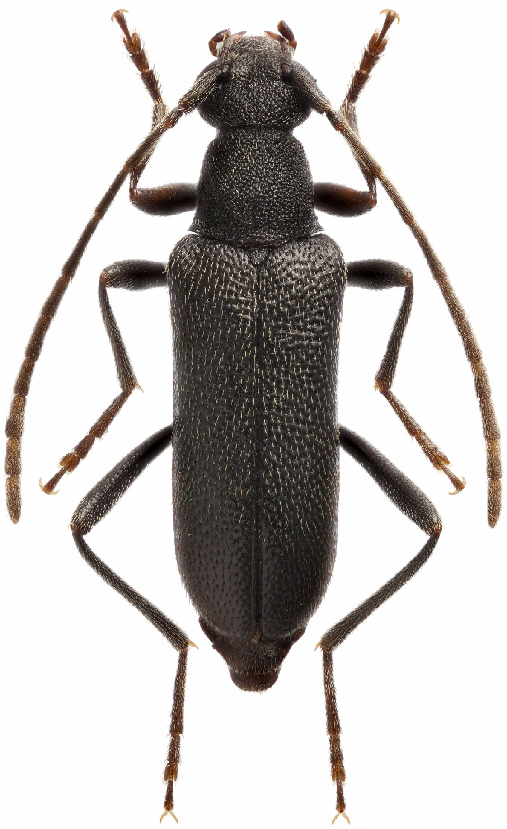
Grammoptera gracilis Brancsik 1914

Sex: m
Photographer: Kirill V. Makarov
Collection Location: Kedrovaya Pad Nat Res, 11 km SSE Barabash, Primorskyi krai, Russian FE
79652

130425