
Photographer: Jelinek & Hoskovec Collection Location: Peristerona village, Paphos District, Cyprus 50689
|

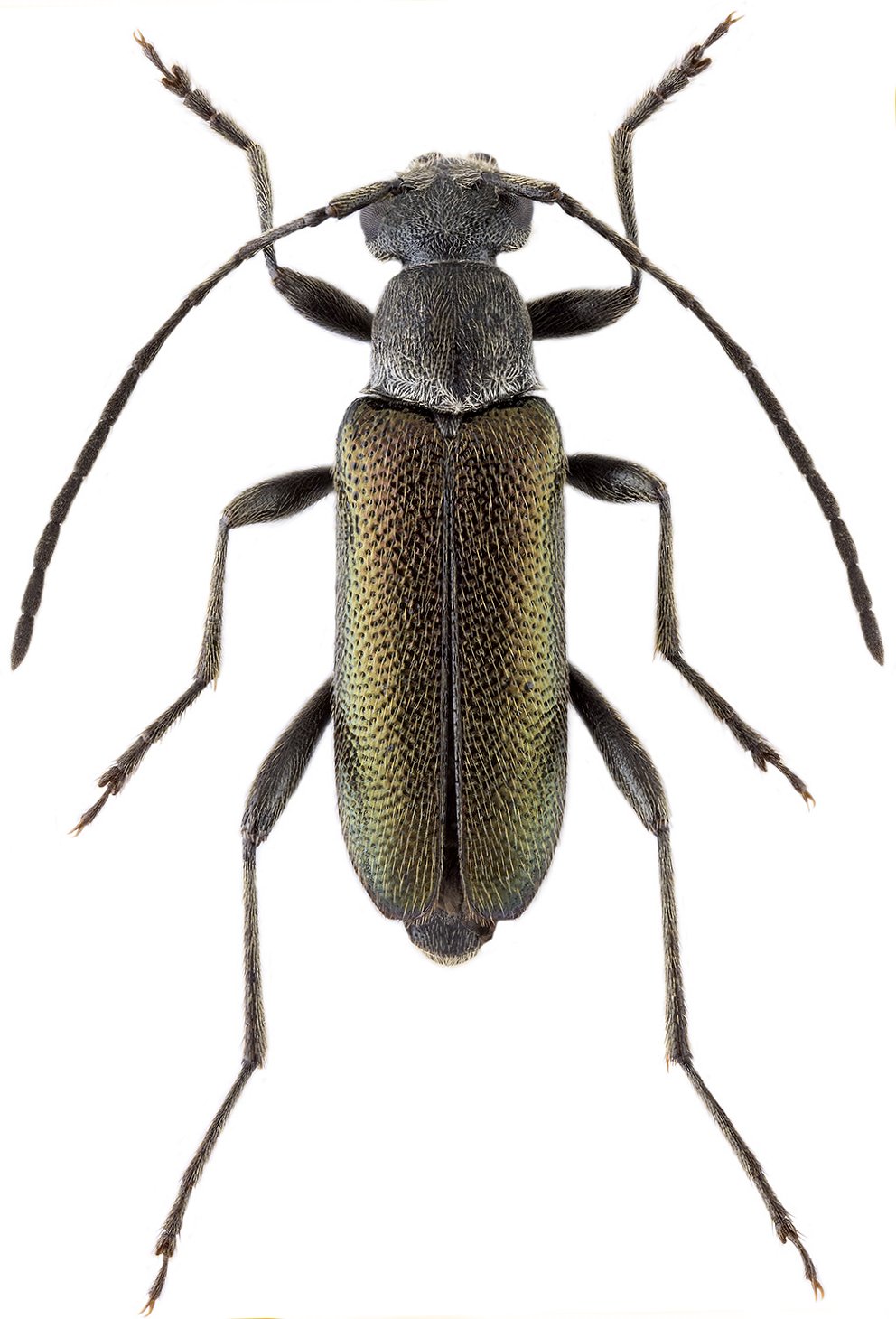
Institution: LGBC Larry G. Bezark Collection, Sacramento, California, USA Photographer: Larry G. Bezark Collection Location: Pano Panayia, Paphos Province, Cyprus 50690
|