New Search Family, Subfamily and Tribe List

SubFamily Lepturinae

Tribe Lepturini
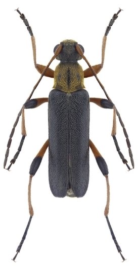
Grammoptera auricollis auricollis Mulsant & Rey 1863

Determiner: Lambillionea
50685


Photographer: Aleksandr Slutsky
Collection Location: Lakonia, 5 km W Karies plateau, Peloponnesia, Greece
75373

130425