_Gressitt_Taiwan_USNM.jpg)
Specimen Type: holotype Sex: f Institution: NMNH United States National Museum, Washington, DC, USA Photographer: Steve Lingafelter Collection Location: near Taiheizan, Taiwan 40606
|
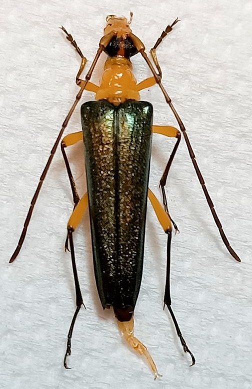
_CAS.jpg)
Specimen Type: holotype Sex: m Institution: CAS California Academy of Sciences, San Francisco, CA, USA Photographer: Larry G. Bezark Collection Location: near Taiheizan, Taiwan 40607
|