_Wang_Chiang_SAUC_Zhengba_Shaanxi_China_Li_Chen_pic.jpg)
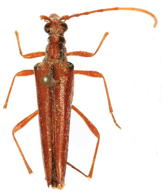
Specimen Type: holotype Sex: m Institution: SAUC Insect Collection of the Southwest Agricultural University, Chongqing, China Photographer: Li & Chen Collection Location: Zhengba, Shaanxi Province, China 70484
|
_Wang_Chiang_SAUC_Zhengba_Shaanxi_China_Li_Chen_pic.jpg)
Specimen Type: holotype Sex: m Institution: SAUC Insect Collection of the Southwest Agricultural University, Chongqing, China Photographer: Li & Chen Collection Location: Zhengba, Shaanxi Province, China 70485
|