New Search Family, Subfamily and Tribe List

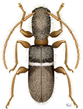
SubFamily Cerambycinae

Tribe Anaglyptini
Tilloclytus neiba Lingafelter 2011

Photographer: Taina Litwak painting
Collection Location: Dominican Republic
30624

130425