New Search Family, Subfamily and Tribe List

SubFamily Lepturinae

Tribe Lepturini
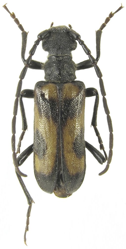
Katarinia belousovi Miroshnikov 2015

Specimen Type: holotype
Sex: m
Institution: Murzin Collection
Photographer: Maxim Lazarev
Collection Location: Zhongdian, N Yunnan, China
100831

130425