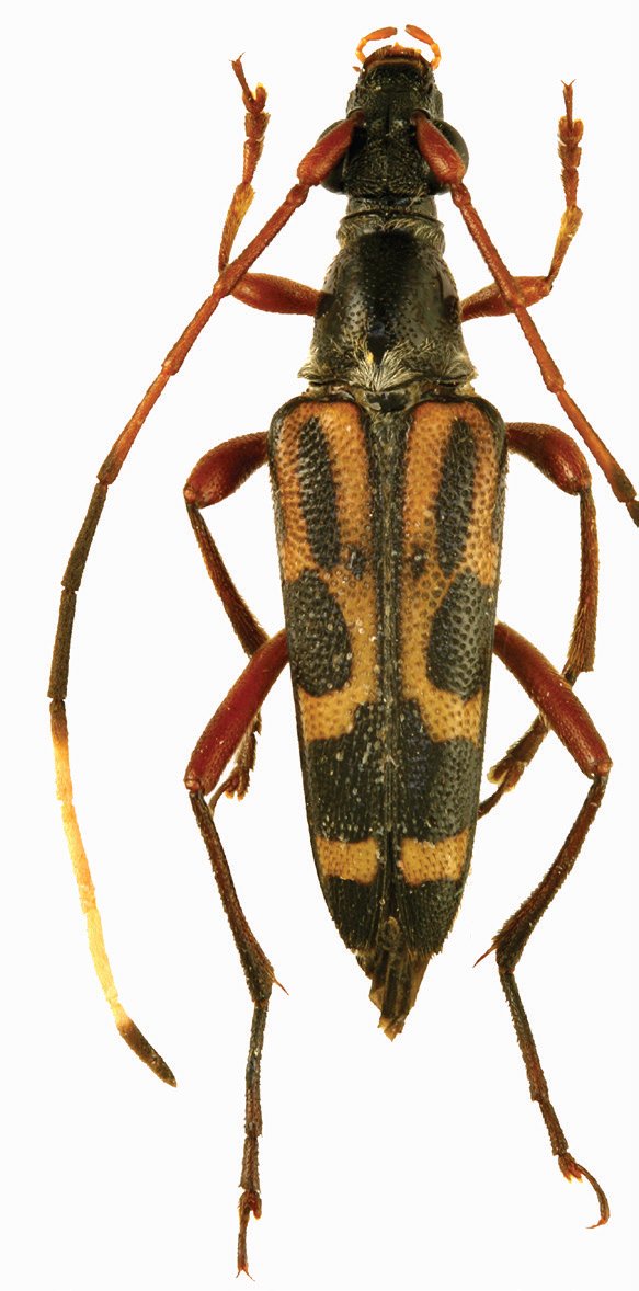
 Vives coll Pia Oac, Cao Bang Province, Vietnam.jpg)
Specimen Type: holotype Sex: m Institution: Vives Collection Photographer: Eduard Vives Collection Location: Pia Oac, Cao Bang Province, Vietnam 89829
|
 Vives coll Tam Dao, Vinh Phuc Province, Vietnam.jpg)
Specimen Type: paratype Sex: f Institution: Vives Collection Photographer: Eduard Vives Collection Location: Tam Dao, Vinh Phuc Province, Vietnam 89830
|