New Search Family, Subfamily and Tribe List

SubFamily Cerambycinae

Tribe Unxiini
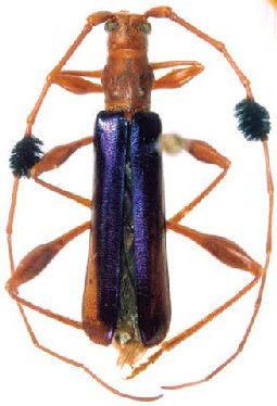
Unxia gracilior (Burmeister, 1865)

Institution: CAS California Academy of Sciences, San Francisco, CA, USA
Photographer: Larry G. Bezark
14634


Sex: m
Collection Location: Piraquara, Paraná, Brasil
26868


Photographer: Wolfgang Heinkel
27464

130425