New Search Family, Subfamily and Tribe List

SubFamily Lepturinae

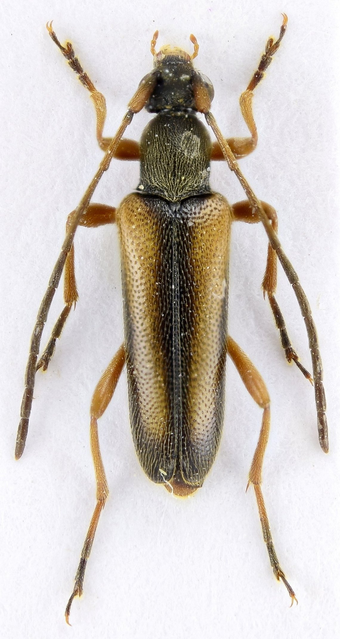
Tribe Lepturini
Alosterna tabacicolor subvittata Reitter 1885

Institution: Marcin Szewczyk Collection
Photographer: Marcin Szewczyk
Collection Location: Borjomi, Georgia
78642

130425