New Search Family, Subfamily and Tribe List

SubFamily Lepturinae

Tribe Lepturini
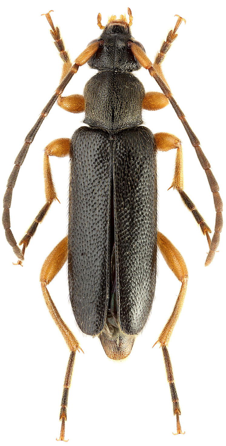
Alosterna ingrica (Baeckmann, 1902)

Photographer: Jacek Kurzawa
Collection Location: Bialowieza, Poland
31644


Photographer: Maxim E. Smirnov
Collection Location: Lukh river, Pureshka vill, Pestyakovsky dist, Ivanovo Region, Russia
78839

130425