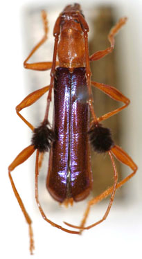
_Napp_MNRJ_SWL.jpg)
Specimen Type: holotype Sex: m Institution: MNRJ Museu Nacional Universidade do Rio Janeiro, Brazil Photographer: Steve Lingafelter Collection Location: Teresópolis, Rio de Janeiro, Brazil 11805
|
_Napp_Itatiaia_Rio_de_Janeiro_Brasil.jpg)
Specimen Type: paratype Sex: m Collection Location: Itatiaia, Rio de Janeiro, Brasil 24354
|