New Search Family, Subfamily and Tribe List

SubFamily Lepturinae

Tribe Encyclopini
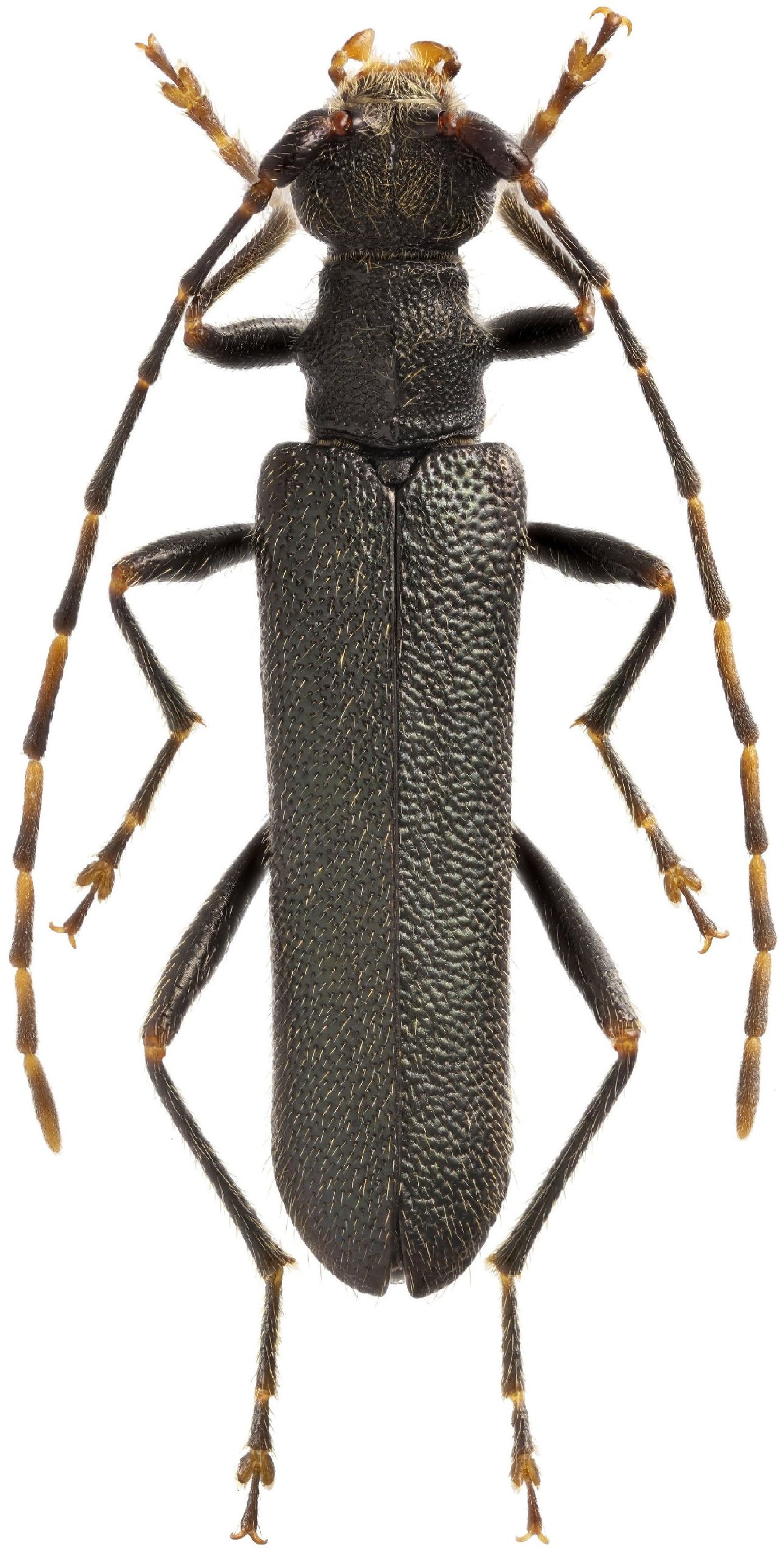
Encyclops macilentus (Kraatz, 1879)

Photographer: Mikhail Danilevsky
58957


Photographer: Kirill V. Makarov
Collection Location: 8 km SSE Barabash, Khasansky district, Primorsky krai Russian Far East
79260

130425