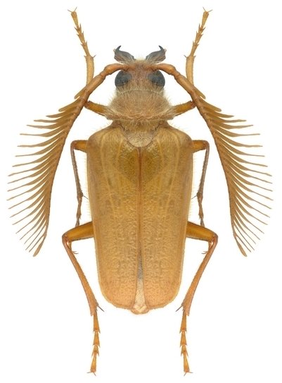
_Danilevskiy_Tadzhikistan.jpg)
Specimen Type: holotype Sex: m Institution: Danilevsky Collection Determiner: Les Cahiers Magellanes Collection Location: 15 km SW Gissar Dzhartepe, Babatag Ridge, Tadjikistan 57284
|

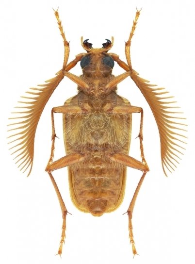
Photographer: Aleksandr Slutsky Determiner: Skrylnik Collection Location: Babatag Mountains, Tajikistan 75427
|
_Danilevsky_Babatag Mts_Tajikistan_det_Skrylnik_Slutsky.jpg)
Photographer: Aleksandr Slutsky Determiner: Skrylnik Collection Location: Babatag Mountains, Tajikistan 75428
|
 Gissar, W Tadzhikistan Navratil.jpg)
Specimen Type: topotype Sex: m Photographer: David Navratil Collection Location: Gissar, W Tajikistan 79878
|
|