New Search Family, Subfamily and Tribe List

SubFamily Prioninae

Tribe Prionini
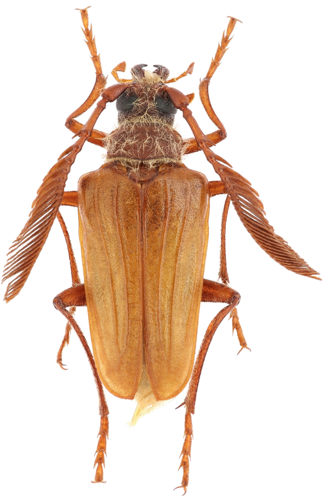
Pogonarthron minutum (Pic, 1905)

Sex: m
Photographer: Lech Kruszelnicki
Collection Location: Iran
57280


Sex: m
Photographer: Jiri Lorenc
Collection Location: Mt Zagros, Iran
57282


Sex: m
Photographer: Anton Kozlov
Collection Location: Iran
57283


Sex: m
Determiner: Les Cahiers Magellanes
Collection Location: Iran
57281

130425