_Hope_BMNH_KM.jpg)
Prionus subcoriaceus Hope Specimen Type: syntype Institution: BMNH British Museum Natural History, London, UK Photographer: Keita Matsumoto Collection Location: Nepal 69399
|
_Hope_BMNH_KM.jpg)
Prionus subcoriaceus Hope Specimen Type: syntype Institution: BMNH British Museum Natural History, London, UK Photographer: Keita Matsumoto Collection Location: Nepal 69400
|
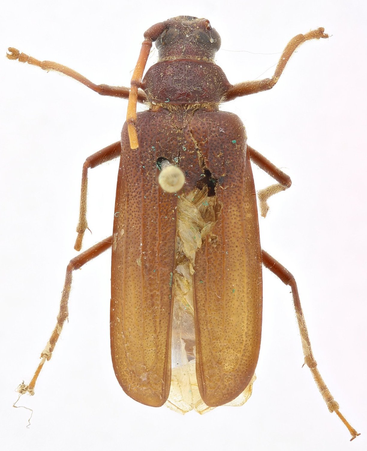
_Hope_BMNH_KM.jpg)
Prionus subcoriaceus Hope Specimen Type: syntype Institution: BMNH British Museum Natural History, London, UK Photographer: Keita Matsumoto Collection Location: Nepal 69401
|
_Hope_N_Nepal_Shey-Phoksundo_NP_Lorenc.jpg)
Sex: m Photographer: Jiri Lorenc Collection Location: Shey-Phoksundo, National Park, N Nepal 60605
|
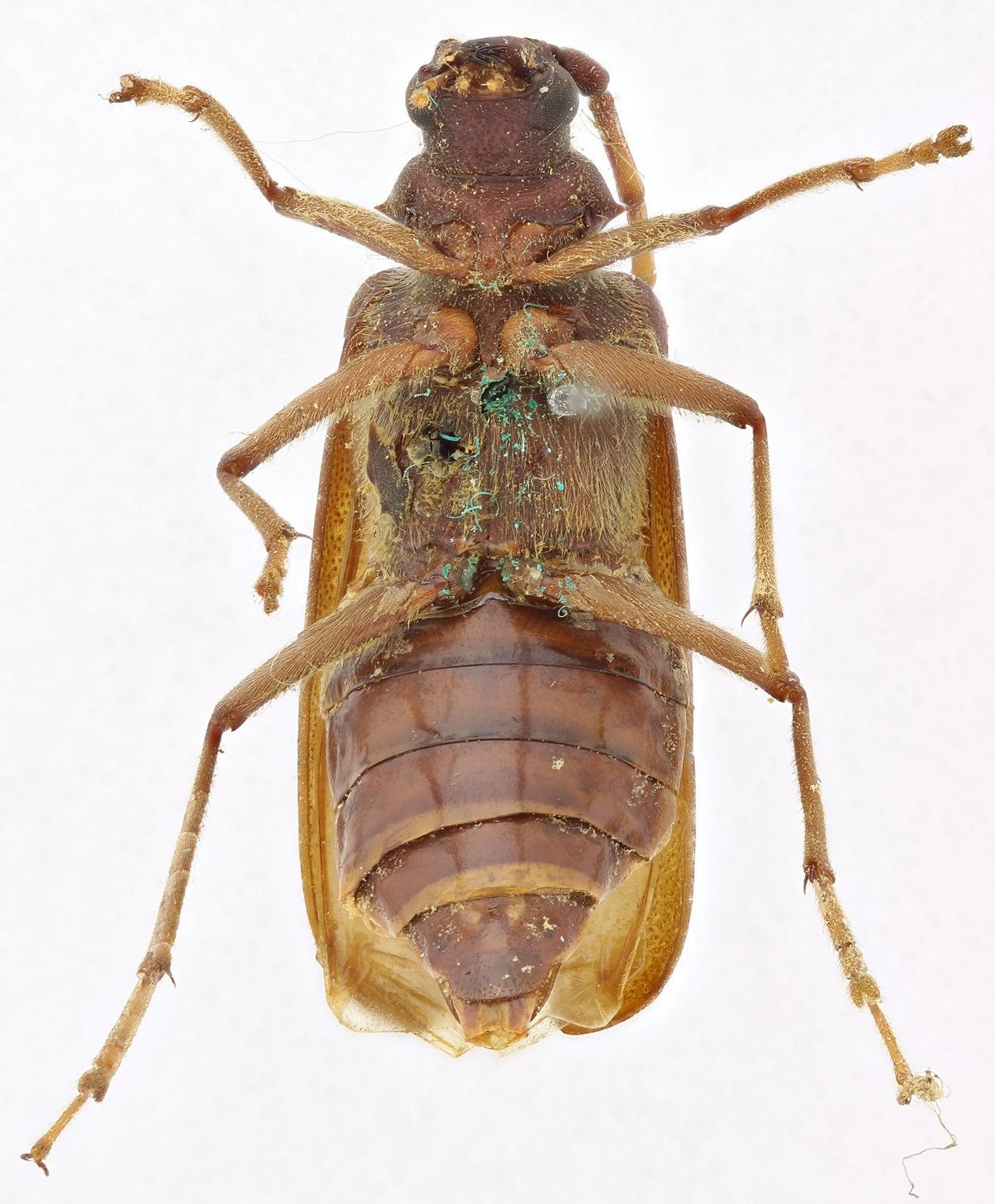
_Hope_India_Pirkl.jpg)
Sex: f Photographer: Jiri Pirkl Collection Location: India 60603
|
_Hope_India_Pirkl.jpg)
Sex: f Photographer: Jiri Pirkl Collection Location: India 60604
|