_Drumont_MNHN_Yunnan_China.jpg)
Specimen Type: holotype Sex: m Institution: MNHN Museum of Natural History Paris, France Determiner: Lambillionea Collection Location: Yunnan, China 55399
|
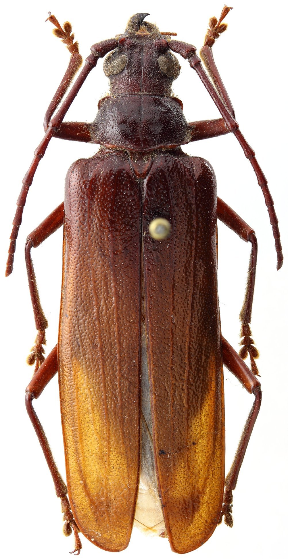
_Komiya_IRSNB_Kouang_Si_Hien_SE_Yunnan_China_J_Pirkl_pic5.jpg)
Specimen Type: allotype Sex: f Institution: RBINS Royal Belgian Institute of Natural Sciences, Brussels, Belgium Photographer: J Pirkl Collection Location: Kouang Si Hien, SE Yunnan Province, China 55400
|
_Komiya_IRSNB_Kouang_Si_Hien_SE_Yunnan_China_J_Pirkl_pic5.jpg)
Specimen Type: allotype Sex: f Institution: RBINS Royal Belgian Institute of Natural Sciences, Brussels, Belgium Photographer: J Pirkl Collection Location: Kouang Si Hien, SE Yunnan Province, China 65675
|
_Komiya_IRSNB_Kouang_Si_Hien_SE_Yunnan_China_J_Pirkl_pic5.jpg)
Specimen Type: allotype Sex: f Institution: RBINS Royal Belgian Institute of Natural Sciences, Brussels, Belgium Photographer: J Pirkl Collection Location: Kouang Si Hien, SE Yunnan Province, China 65676
|
_Komiya_IRSNB_Kouang_Si_Hien_SE_Yunnan_China_J_Pirkl_pic5.jpg)
Specimen Type: allotype Sex: f Institution: RBINS Royal Belgian Institute of Natural Sciences, Brussels, Belgium Photographer: J Pirkl Collection Location: Kouang Si Hien, SE Yunnan Province, China 65677
|
|